안녕하세요. 인천유선 반가워호입니다.
반가워호를 찾아주신 조사님들께 진심으로 감사드립니다.
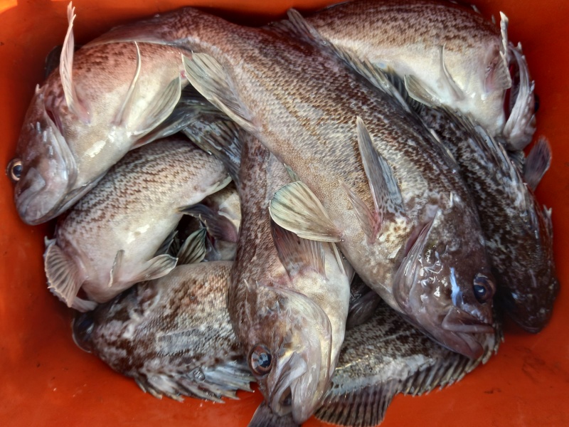
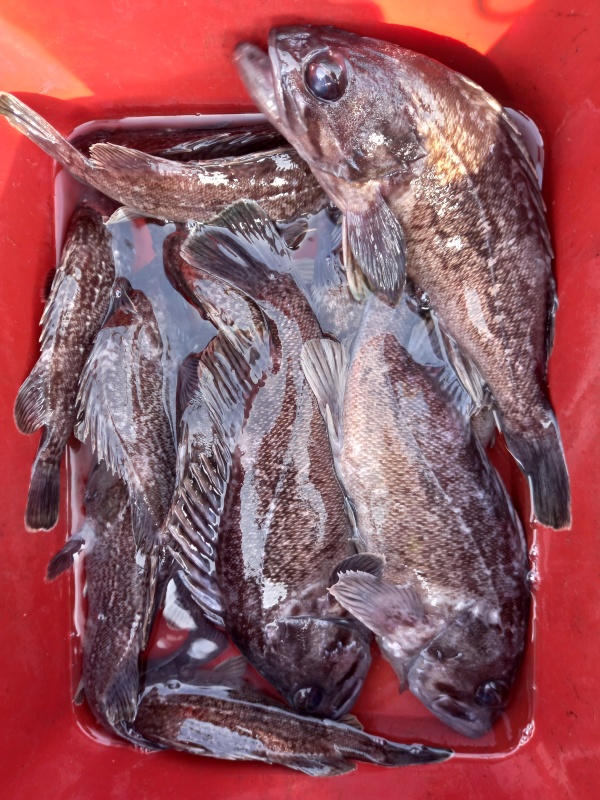
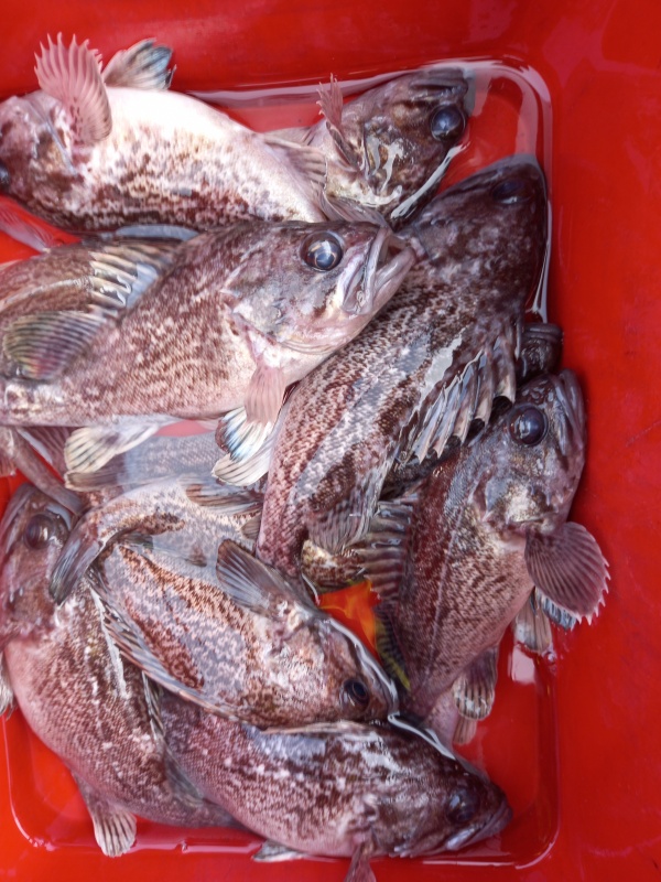
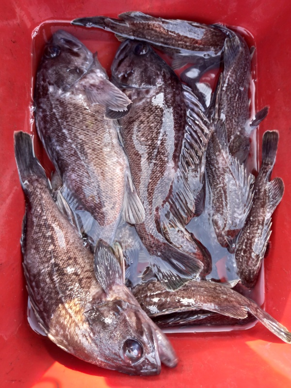
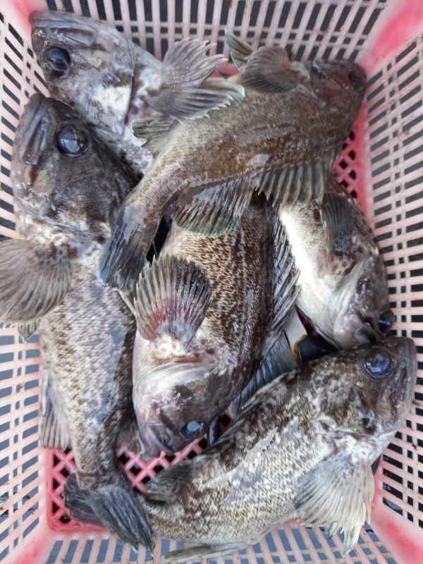
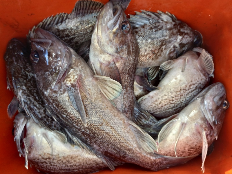
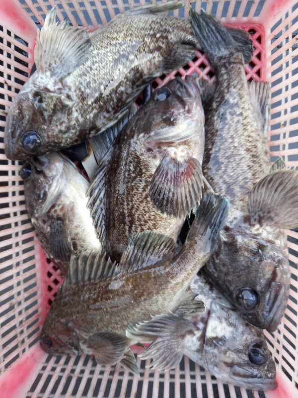
" 겨울시즌 『 우럭 광어낚시 』를 진행하오니~ 참고하시길 바랍니다~!ㅎ "
반가워호에서의 선상낚시가 좋은 추억으로 남길 바래봅니다~ ^ ^
조사님들 고생 많으셨습니다~ㅎ 안녕히 돌아가세요~ㅎ
감사합니다. ^ ^
☆~ 선상낚시 필수 아이템 " 선글라스, 선크림, 쿨토시 등등.. 꼭 준비하시고 오시길 바랍니다! " ~☆
★ 우리 조사님들~ 2025년에도 손맛! 찡하게 보시는 그날을 기대해 봅니다~ ^ ^ ★














































































